Notice of Public Meeting: 13754 Tecumseh Road
TAKE NOTICE that the Council of the Corporation of the Town of Tecumseh will hold a public meeting Tuesday, May 12, 2026 at 6:00 p.m. in the Town Municipal Office Council Chambers at 917 Lesperance Road to consider proposed amendment to the Town’s Zoning By-law 2065, pursuant to the provisions of the Planning Act, R.S.O. 1990. Please see below for information on how to provide comments or participate in the public meeting.
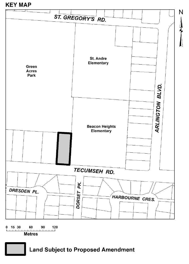
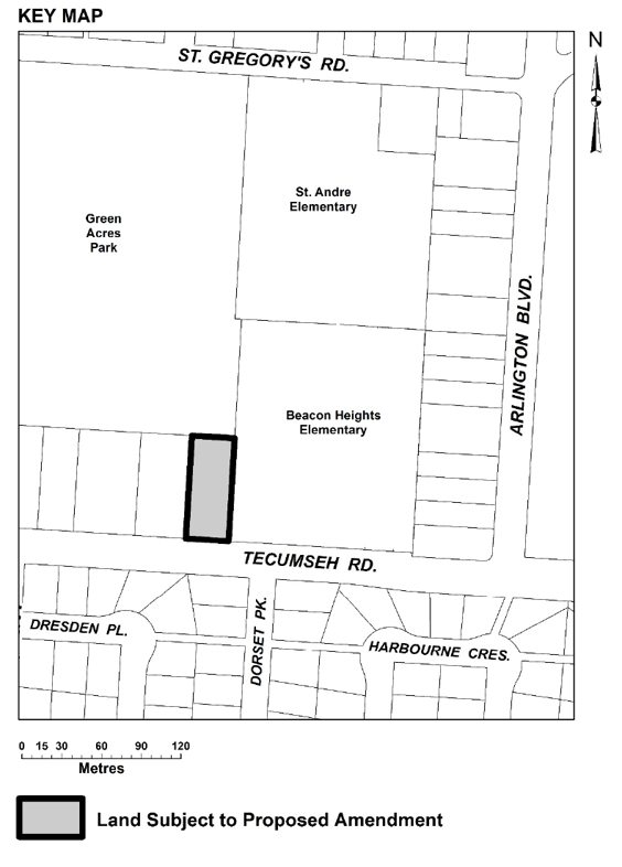
Zoning By-law amendment application (Application/File: D19 13754TEC) has been submitted for a 2,500 square metre (26,910 square foot) parcel of land situated on the north side of Tecumseh Road, approximately 16 metres (53 feet) west of its intersection with Dorset Park (13754 Tecumseh Road) (see Key Map on reverse side for location). The purpose of the proposed amendment is to rezone the property from “Residential Type Two Zone (R2)” to a site-specific “Residential Type Three Zone (R3- 14)” to permit the redevelopment of the property with a three-storey, six unit dwelling and a one-storey, four-unit townhouse dwelling and establish site-specific zone provisions related to minimum lot frontage, lot area, height, yard depths/widths (front, side, rear) and encroachments for patios/balconies. The property is designated “Residential” in the Official Plan. The property is designated “Residential” in the Tecumseh Official Plan. The existing single-unit dwelling currently on the property is to be demolished as part of the proposed redevelopment of the property.
ANY PERSON may attend the public meeting and/or make written or verbal representation either in support of or in opposition to the proposed Zoning By-law amendment.
If a person or public body would otherwise have an ability to appeal the decision of the Council of the Corporation of the Town of Tecumseh to the Ontario Land Tribunal but the person or public body does not make oral submissions at a public meeting or make written submissions to the Corporation of the Town of Tecumseh before the proposed Zoning By-law amendment is adopted, the person or public body is not entitled to appeal the decision.
If a person or public body does not make oral submissions at a public meeting or make written submissions to the Corporation of the Town of Tecumseh before the proposed Zoning By-law amendment is adopted, the person or public body may not be added as a party to the hearing of an appeal before the Ontario Land Tribunal unless, in the opinion of the Tribunal, there are reasonable grounds to do so.
How to Provide Comments or Participate in the Public Meeting
Public Meetings are being held at the Town Municipal Office Council Chambers and live-streamed on the Town’s website. Any person who wishes to make oral submissions at the Public Meeting must register as a delegate. To register as a delegate, persons may use the online registration form on the Town’s website at www.tecumseh.ca/delegations or by providing their contact information (name, address, email and phone number) to the Town Clerk by 3:00 p.m. on Tuesday, May 12, 2026. Registered delegates will receive the necessary details to speak at the public meeting. By registering as a delegate, persons are consenting to their image, voice and comments being recorded and available for public viewing on the Town’s website. Written submissions may also be provided to the Clerk by 12:00 p.m. (noon) on Thursday, May 7, 2026.
If you wish to be notified of the decision of the Council of the Corporation of Town of Tecumseh on the proposed Zoning By-law amendment, you must make a written request to the Corporation of the Town of Tecumseh, c/o Robert Auger, Director Legislative Services & Clerk, at the mailing address noted below.
FOR MORE INFORMATION about this matter, including information about appeal rights, contact the Corporation of the Town of Tecumseh, c/o Robert Auger, Director Legislative Services & Clerk, at rauger@tecumseh.ca or directly at the Town Municipal Office at 917 Lesperance Road.
The Public Meeting Agenda regarding this application will be available on the Town’s website on Friday May 8, 2026.
![]() |
DATED AT THE TOWN OF TECUMSEH THIS 15TH DAY OF APRIL, 2026. ROBERT AUGER DIRECTOR LEGISLATIVE SERVICES & CLERK TOWN OF TECUMSEH 917 LESPERANCE ROAD TECUMSEH, ONTARIO, N8N 1W9 |
Attachments
Contact Us
Town of Tecumseh
917 Lesperance Road
Tecumseh, ON N8N 1W9
Phone: 519 735 2184
Fax: 519 735 6712
Contact Us
Report An Issue
Sign up to receive News & Notices
Stay up to date on the Town's activities, events, programs and operations by subscribing to our News & Notices email.
