Notice of Public Meeting: 10440 County Road 34

Council will hold a public meeting Tuesday, January 13, 2026 at 6:30 pm in the Town Municipal Office Council Chambers at 917 Lesperance Road to consider proposed amendment to the Town’s Zoning By-law 85-18, pursuant to the provisions of the Planning Act, R.S.O. 1990.

Background

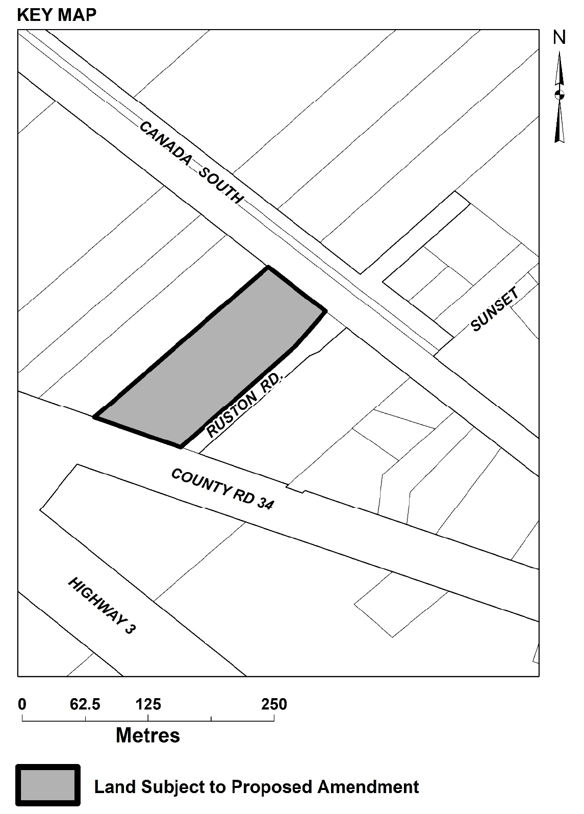
Zoning By-law amendment application (Application/File: D19 10440 Cty. Rd. 34) has been submitted for a 1.64 hectare (4.05 acre) parcel of land situated on the north-west corner of the County Road 34/Ruston Road intersection (10440 County Road 34) (see Key Map). The purpose of the proposed amendment is to rezone this property from “Agricultural Zone (A)” to a sitespecific “Agricultural Zone (A-43)” to facilitate the construction of an Additional Residential Unit (ARU), in accordance with subsection 4.1.2 xii) of the Tecumseh Official Plan. The property is designated “Agricultural” in the Official Plan. The land uses proposed through this application are permitted by the “Agricultural” designation, subject to a Zoning By-law amendment to permit a stand-alone ARU.

ANY PERSON may attend the public meeting and/or make written or verbal representation either in support of or in opposition to the proposed Zoning By-law amendment.

If a person or public body would otherwise have an ability to appeal the decision of the Council of the Corporation of the Town of Tecumseh to the Ontario Land Tribunal but the person or public body does not make oral submissions at a public meeting or make written submissions to the Corporation of the Town of Tecumseh before the proposed Zoning By-law amendment is adopted, the person or public body is not entitled to appeal the decision. If a person or public body does not make oral submissions at a public meeting or make written submissions to the Corporation of the Town of Tecumseh before the proposed Zoning By-law amendment is adopted, the person or public body may not be added as a party to the hearing of an appeal before the Ontario Land Tribunal unless, in the opinion of the Tribunal, there are reasonable grounds to do so.

How to Provide Comments or Participate in the Public Meeting

Public Meetings are being held at the Town Municipal Office Council Chambers and live-streamed on the Town’s website. Any person who wishes to make oral submissions at the Public Meeting must register as a delegate. To register as a delegate, persons may use the online registration form on the Town’s website at www.tecumseh.ca/delegations or by providing their contact information (name, address, email and phone number) to the Town Clerk by 3:00 p.m. on Tuesday, January 13, 2026. Registered delegates will receive the necessary details to speak at the public meeting. By registering as a delegate, persons are consenting to their image, voice and comments being recorded and available for public viewing on the Town’s website. Written submissions may also be provided to the Clerk by 12:00 p.m. (noon) on Thursday, January 8, 2026.

If you wish to be notified of the decision of the Council of the Corporation of Town of Tecumseh on the proposed Zoning By-law amendment, you must make a written request to the Corporation of the Town of Tecumseh, c/o Robert Auger, Director Legislative Services & Clerk, at the mailing address noted below.

FOR MORE INFORMATION about this matter, including information about appeal rights, contact the Corporation of the Town of Tecumseh, c/o Robert Auger, Director Legislative Services & Clerk, at rauger@tecumseh.ca or directly at the Town Municipal Office at 917 Lesperance Road. The Public Meeting Agenda regarding this application will be available on the Town’s website (https://calendar.tecumseh.ca/meetings) on Friday, January 9, 2026.

Attachements:

Public Notice

Key Map

Subscribe Back to News Search

Contact Us

Town of Tecumseh
917 Lesperance Road
Tecumseh, ON N8N 1W9
Phone: 519 735 2184
Fax: 519 735 6712
Contact Us
Report An Issue

Sign up to receive News & Notices

Stay up to date on the Town's activities, events, programs and operations by subscribing to our News & Notices email.