Notice of Application for Proposed Draft Plan of Subdivision Approval
TAKE NOTICE that the Town of Tecumseh has received a request from the County of Essex (the
Approval Authority) to notify the public of receipt of an application for Draft Plan of Subdivision pursuant
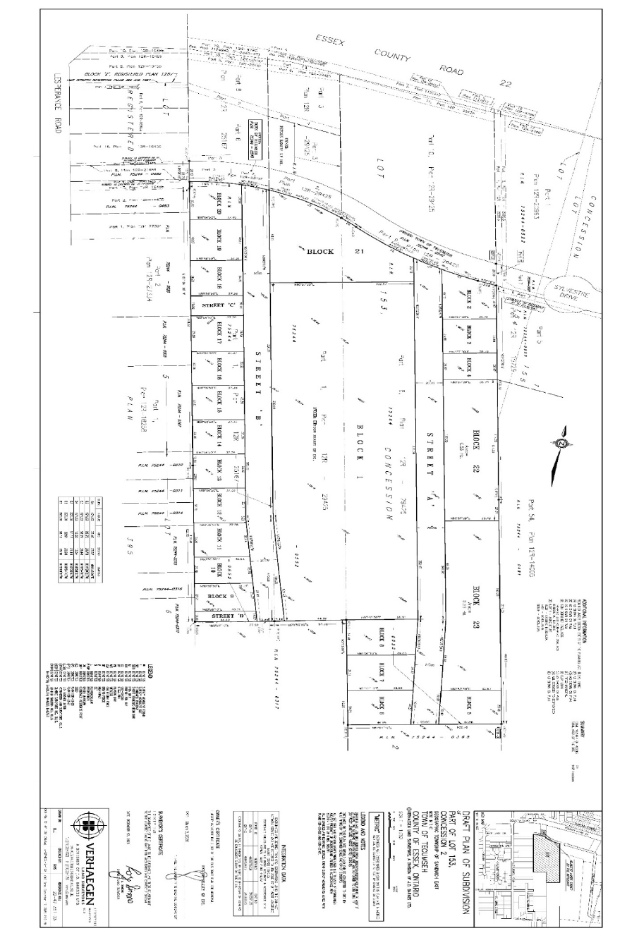
to the provisions of the Planning Act, R.S.O. 1990. The proposed draft plan will affect a 9.5 hectare (23.4
acre) parcel of land located south of County Road 22, east of Lesperance Road, within the Manning
Road Secondary Plan Area (see Key Map for location), and will be seeking draft plan approval for:
- 20 blocks for 96 multi-unit attached dwellings
- 1 block for 332 apartment dwelling units (currently under construction)
- 1 block for a stormwater facility (Block 22)
- 1 block for parkland (Block 23)
ANY PERSON OR PUBLIC BODY may make written submissions to the County of Essex before the
County of Essex makes its decision under subsection (31) of the Planning Act.
If a person or public body would otherwise have the ability to appeal the decision of the County of Essex
but does not make written submissions to the County of Essex in respect of the proposed plan of
subdivision before the approval authority gives or refuses to give approval to the draft plan of subdivision,
the person or public body is not entitled to appeal the decision to the Ontario Land Tribunal.
If a person or public body does not make written submissions to the County of Essex in respect of the proposed plan of subdivision before the approval authority gives or refuses to give approval to the draft plan of subdivision, the person or public body may not be added as a party to the hearing of an appeal before the Ontario Land Tribunal unless, in the opinion of the Tribunal, there are reasonable grounds to do so.
If you wish to be notified of the decision of the County of Essex in respect of the proposed Plan of Subdivision, you must make a written request to the County of Essex, c/o Ms. Rebecca Belanger, Manager, Planning Services – 360 Fairview Ave W. Essex, ON N8M 1Y6, indicating the County of Essex file number (37-T-26001) by May 12, 2026.
For more information about this matter, including the information about preserving your appeal rights, contact the Manager, Planning Services, County of Essex, 360 Fairview Avenue West, Essex, ON, N8M1Y6, or at rbelanger@countyofessex.ca indicating the County of Essex file No. 37-T-26001.
Attachments:
Notice of Application For Proposed Draft Plan of Subdivision Approval
Contact Us
Town of Tecumseh
917 Lesperance Road
Tecumseh, ON N8N 1W9
Phone: 519 735 2184
Fax: 519 735 6712
Contact Us
Report An Issue
Sign up to receive News & Notices
Stay up to date on the Town's activities, events, programs and operations by subscribing to our News & Notices email.
